- Contributed by
- cheeryblackjack
- People in story:
- David Robson
- Location of story:
- Gosport, Hampshire
- Background to story:
- Civilian
- Article ID:
- A7824099
- Contributed on:
- 16 December 2005

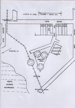
MAP OF LOCATION
We had just suffered a heavy overnight's bombing less than one hundred yards away from where we lived at 218 Elson Road, Gosport, Hampshire. Four bombs had come whistling down and landed in a cluster nearby. Our house seemed to leap from one side of the road to the other and back again. It was 1940 and I was just three and a half years old. The next day I set off to survey the damage. Four huge craters and all the windows of the adjacent Blakes Maternity Hospital were shattered. A railway line some thirty yards away had been sliced in two by a direct hit and the rails either side of the crater were pointing skywards about twenty feet in the air. Bomb shrapnel lay everywhere in all shapes and sizes. Twisted and jagged lumps and clumps of metal with some glistening in all the colours of the rainbow. A policeman and some other locals were also wandering about. This has to be a wheelbarrow job I thought to myself dashing back home along Ham Lane to get it - some 9" x 6" with sloping sides! Deals could be done and bargains struck with friends in exchange for other items of memorabilia. We all had keepsakes from convoys of soldiers passing along Elson Road for embarkation at Hardway, a quarter of a mile away. This could put me in a very favourable position, I thought to myself. Great care was taken to select the brightest and most colourful specimens. The more they were distorted and bent the better and finally my barrow was full to over-flowing. With some difficulty due to the weight of it all I set out for home, passing the Policeman along the way. "And where do you think you are going with that little lot sonny Jim?" he asked in a stern and searching voice. "I'm going to show my Mum" I said, for want of a better reply. "I think the Minstry would like to have a look at those too," he said, helping himself to the contents of my wheelbarrow! I never did make it as a Wheeler Dealer, but it could have been the youngest contribution to the Second World War? I though it was worth a D.S.O. but I never got one! I wonder if the policeman did?
© Copyright of content contributed to this Archive rests with the author. Find out how you can use this.


